法拍台北市士林區透天

最後更新:2天前
房子基本資料
案名 士林區 美崙街4套房 平房 案號 112富97117一 114/10/16(四) 撤回
地址 台北市士林區美崙街91巷4號
銷售狀態 議價中 售價
售2849萬
房子類型法拍透天 總登記坪數 14.83 坪
格局 屋齡 50年以上
每坪單價 192.11萬/坪 公設比
車位 沒有車位 座向
無障礙環境 沒有 法拍屋 本物件是法拍屋
拍次 : 第一拍 不點交
開標日期 : 2025/10/16(四) 14:30撤回
建物所在樓層 1樓/共1樓 管理費
管委會 沒有 中庭 沒有
電梯 沒有 是否為凶宅
300公尺內嫌惡設施 面前道路
面寬 縱深
邊間 不是 房子銷售來源 不動產經紀人/專業仲介
房子特色

【法院筆錄內容】



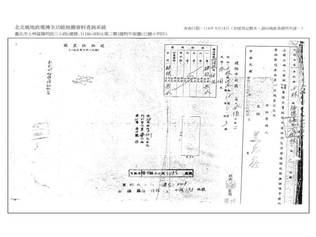
1‧31186建號、31667建號拍定後不點交。



2‧臺北市政府警察局士林分局函覆為出租套房,債權人於113年11月6日陳報經會同員警到場,現場隔成4間房間,第一間房承租人在場表示已承租居住10多年,最後一間房現無人承租居住,另2間房租給學生等語。114年3月17日現場履勘、測量時,債務人黃O鈞在場稱4間房間均已出租他人。債務人提出最新房屋租賃契約書影本,4間房間之承租人分別為蕭○琳(租賃期間自民國112年10月5日起至113年10月5日止,租金每月新臺幣1萬元)、林○翔(租賃期間自民國113年9月1日起至114年8月30日止,租金每月新臺幣1萬元)、陳○睿(租賃期間自民國113年9月7日起至114年8月30日止,租金每月新臺幣1萬元)、徐○維(租賃期間自民國113年11月24日起至114年11月23日止,租金每月新臺幣10,500元)。惟現在實際情形如何,仍請應買人自行查明注意。



3‧31667建號係未登記建物,為1樓外走廊及後方洗手台處。臺北市建築管理工程處於114年4月24日函覆稱:31667建號建物係位於一般空地之水平增建違章建築,屬既存違章建築,列入分類分期處理,列管拆除。1樓旁比對83年空照圖似有顯影,應屬83年12月31日以前存在之既存違建等語。拆除風險請應買人自行注意,本件拍賣係以建物現況拍賣,當事人及拍定人均不得以面積不符,請求增減價金,拍定後無法以權利移轉證書辦理建物登記。



《清償票款》






【保證金】

569.8萬


【拍賣履歴】

一拍2025/10/16撤回底標價格2849萬

二拍底標價格2279.2萬

三拍底標價格1823.4萬

四拍底標價格1458.7萬



【焦點法拍履歴】

👩🏻‍⚖️從業二十年以上經驗|競競業業|正派經營

🎯投標準備⇥法拍流程說明|標單填寫|案件現場勘查有無特殊情事|成本評估分析

💰銀行貸款⇥法拍物件估價|投標人財力評估|銀行代墊款協助辦理|最高八成

🏡拍定得標⇥強制執行書狀、履勘陳報書狀往返|債務人搬遷協商|遺留物造冊查估

🎁委託代標⇥免費|委託代標未得標⇥免費



🏢鑫創資產管理有限公司

顏麗杏0911-965339營業員證號:(101)登字第212862號

連真甄0909-031993營業員證號:(101)登字第192002號

更多物件☞焦點法拍



經紀人李彥槿:109北市經證字第02110號

坪數說明
建物登記總坪數 14.83 土地登記總坪數 22.99
主建物坪數 14.83 停車位坪數
附屬建物坪數 公共設施坪數
增建坪數 6.73 地下室坪數
周邊環境
生活機能 鄰近交通
鄰近地標 公園綠地
鄰近學區 捷運站
房子聯絡人資訊
聯絡人姓名 小顏
(煩請告知聯絡人,您是在House-Info房屋網看到這則廣告,真摯感恩您的幫忙)
手機
0911-965-339
電子信箱
Skype通話 Line加入好友
所屬公司名稱 鑫創資產管理有限公司
公司電話 公司傳真
公司地址 新北市新莊區中環路二段423號一樓
網 址 http://www.1314home.tw
贊助商廣告
台北士林法拍透天-1
台北士林法拍透天-1
台北士林法拍透天-2
台北士林法拍透天-2
台北士林法拍透天-3
台北士林法拍透天-3
台北士林法拍透天-4
台北士林法拍透天-4
台北士林法拍透天-5
台北士林法拍透天-5
台北士林法拍透天-6
台北士林法拍透天-6
台北士林法拍透天-7
台北士林法拍透天-7
台北士林法拍透天-8
台北士林法拍透天-8

台北市士林區美崙街91巷4號-透天

物件留言
請注意,如果您詢問的內容與物件不相符合或是廣告,經過審核,系統將會直接刪除您的發問內容
等待圖示
檢舉物件不實
等待圖示
黃金曝光
相似物件
www.house-info.tw房屋網免責聲明:本系統為租用式開放房子買賣網站建置平台,僅提供會員查詢-法拍台北市士林區透天-等房子資訊參考,並不涉入任何諮詢、交易。 物件(服務)聯絡人公佈的資訊、文字、照片、圖形、產權、廣告內容、或其他資料若有不實或違法情事,或與客戶聯絡交易過程中若衍生民事或刑事等法律問題,皆與本房屋網站無關,所有商標、文章、名稱等版權,皆歸屬原著作者所有!
●電話:07-7963288