| 房子基本資料 |
| 案名 | 台北小巨蛋站【松山華城10區】光復北路210巷43號7樓 | 案號 | 114職四134金 |
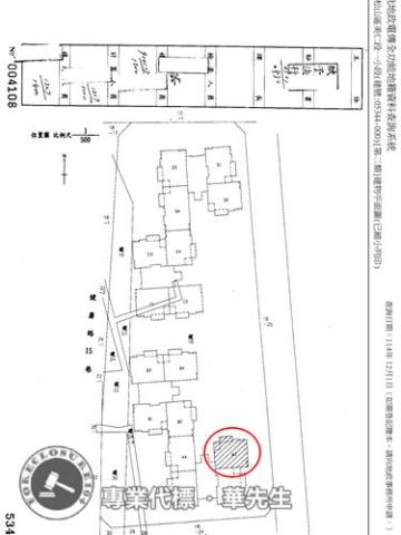
| 地址 | 台北市松山區光復北路210巷43號7樓 | 社區/大樓 | 松山華城10區 |
| 銷售狀態 | 待標中 | 售價 | 售3058萬售2447萬 |
| 房子類型 | 法拍大樓 | 總登記坪數 | 36.85 坪 |
| 格局 | 2房, 2廳, 1衛 | 屋齡 | 24年 |
| 每坪單價 | 66.4萬/坪 | 公設比 | |
| 車位 | 採抽籤制 | 座向 | 朝北 |
| 無障礙環境 | | 法拍屋 | 本物件是法拍屋 拍次 : 3 開標日期 : 115/2/4
|
| 建物所在樓層 | 7/13 | 管理費 | 500元/月 |
| 管委會 | 有 | 中庭 | 有 |
| 電梯 | 有 | 是否為凶宅 | |
| 300公尺內嫌惡設施 | | 面前道路 | |
| 面寬 | | 縱深 | |
| 邊間 | 是 | 房子銷售來源 | 不動產經紀人/專業仲介 |
| 房子特色 | 貸款才是決勝點,提供預審,保證核貸 千萬經理人,接任台灣不動產拍賣協會監事
◆門牌:光復北路210巷43號7樓 ◆主建物:18.27坪 ◆附屬:2.91坪 ◆公設:15.67坪 ◆土地:8.13坪 ◆土地現值【第三種住宅區■114年公告現值:342271元/㎡】【第三種住宅區■114年公告現值:338000元/㎡】 ◆房屋用途:RC造/集合住宅 ◆房屋樓層:所在7樓/總樓層13樓 ◆房屋朝向:朝北 ◆管理費用:500元/月
◎房屋格局:2房/2廳/1衛(此格局為原建設規劃或內政部實價登錄,僅供參考,以現況為準!) ◎交通動線:鄰近光復北路與南京東路,距離捷運台北小巨蛋站500公尺 ◎捷運站:可前往南京三民站或小巨蛋站,通勤便利 ◎公車站牌:光復北路、南京東路沿線多線公車,路線選擇多 ◎生活機能:附近有超商、超市、餐飲店,日常採買方便 ◎鄰近學校:民生國小、介壽國中,學區選擇完整 ◎公園綠地:民生公園、小巨蛋周邊綠地,臺北田徑場 ◎醫療診所:周邊有三軍總醫院,醫療資源充足 ◎停車說明:社區停車位採抽籤制,若不抽籤或未抽中,可每月領取回饋金新臺幣900元 【法院筆錄】●點交情形→點交● 1‧本件拍賣標的5344建號、6127建號建物鄰近台北小巨蛋捷運站商圈,現場無水、無電,似無人居住,債務人表示偶爾會來,每月管理費新臺幣500元,另系爭建物無增建、無其他足以影響交易之特殊情事;標的18-5地號位於公有龍城市場北邊的空地。標的2-1地號、18地號、18-5地號土地使用分區均為第三種住宅區。 2‧標的6127建號建物位於地下二層,現作為停車場使用,據債務人表示因停車位不夠,以抽籤決定,若不抽籤或未抽中,則可領取回饋金每月新臺幣900元,另謄本註記本建物不得加設夾層,違者無條件拆除,並負擔拆除費用;因不動產登記謄本並未記載停車位之位置與編號,故6127建號建物拍定後不點交,且共有人亦無優先承買權。 3‧本件係拍賣標的5344建號建物所有權全部,拍定後點交。6127建號建物為應有部分,拍定後不點交。《拍賣抵押物》
※無人買受時,酌減20%估算,概以執行單位公告為準 第一拍12/17底標價:3822萬 第二拍01/07底標價:3058萬 第三拍02/04底標價:2447萬
王牌經理人,十六年以上法拍經驗豐富 眼光最精準,代標多筆億元以上的案件 在地最深耕,資源豐富廣闊人脈執行力 協助自用者,找到理想實用的房屋圓夢 幫助投資人,創造物件最高投資報酬率 最專業團隊,讓您案件事半功倍又圓滿
【在地深耕,眼光精準,人脈廣闊】 ■產權清楚、案件評估、排除瑕疵事故 ■全程負責、快速交屋、拍後不被騷擾 ■代墊利率6.3%、額度8成、手續費0.3% ■房貸利率2.65%、免排隊、立即撥款 ■法拍屋代墊款、需要資金、歡迎找我
104法拍網|透明房訊|全國最大 ◆規模最大◈歷史最久◆ 全國七處分公司,300多位編制人員 成立於1986年,全國16家法院駐點 ◆專業最強◈全國唯一◆ 全國超過1800場授課專業講習 100坪倉庫,造冊拍賣遺留物 ◆正派經營◈開立發票◆ 營業員(99)登159091號 經紀人(96)年北市經證字01243號 一零四法拍網(股),統編28306523
能看屋的,網頁會註明。一般法拍屋查封之後無法入內參觀,可依據建物平面圖推斷室內格局是否方正,或參考樓上樓下鄰居房屋。(預約看屋留言,一律不回)
|
| 坪數說明 |
| 建物登記總坪數 | | 土地登記總坪數 | 8.13 |
| 主建物坪數 | 18.27 | 停車位坪數 | |
| 附屬建物坪數 | 2.91 | 公共設施坪數 | 15.67 |
| 增建坪數 | | 地下室坪數 | |
| 周邊環境 |
| 生活機能 | | 鄰近交通 | |
| 鄰近地標 | | 公園綠地 | |
| 鄰近學區 | | 捷運站 | |
| 房子聯絡人資訊 |
| 聯絡人姓名 | 經理:華國峰 / 特助:李佩玟 (煩請告知聯絡人,您是在House-Info房屋網看到這則廣告,真摯感恩您的幫忙) |
| 手機 |  0916-000-104 | 電子信箱 | |
| Skype通話 | | Line加入好友 |
|
| 所屬公司名稱 | 透明房訊 ,104法拍網(股) |
| 公司電話 | (02)8262-5555 / (03)337-5555 | 公司傳真 | 專業、誠懇、負責 |
| 公司地址 | 新北市土城區金城路二段396號11樓 / 桃園市桃園區莊敬路一段346號4樓 |
| 網 址 | http://www.104法拍屋.tw |